1101 Firetower Rd |
|
| Price: | $208,000 |
| Property Type: | Lots |
| MLS #: | 20257198 |
| County: | Hallsville Isd 223 |
| Bedrooms: | None |
| Bathrooms: | None |
| Garage: | 0 |
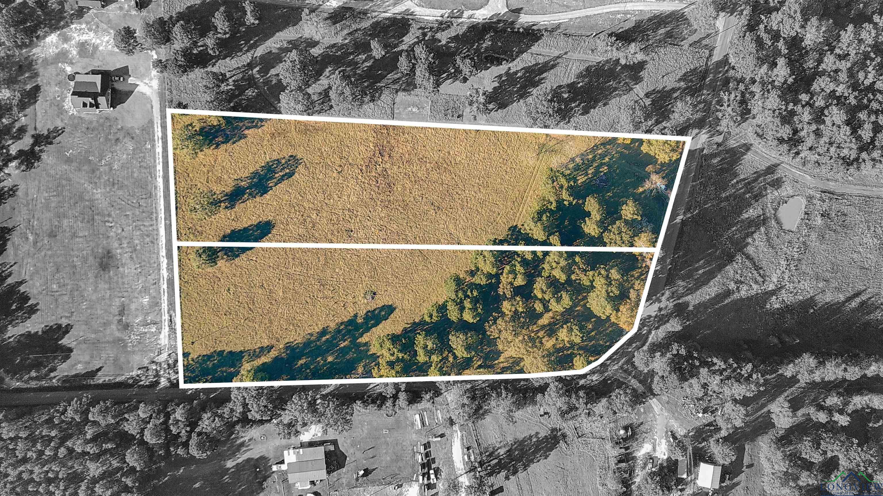
| Acres: | 6.91 |
| 6.91 Acres | Hallsville, TX | Partially Wooded Homesite Build your dream home on this beautiful 6.91 acre tract nestled in the heart of Hallsville ISD. This property offers the perfect blend of open pasture and mature hardwoods, giving you plenty of options for your ideal homesite layout. The land sits on gently rolling terrain, providing privacy, scenic views, and multiple building spots. Enjoy the peaceful feel of country living while still being conveniently located just minutes from Hallsville and Longview. With room for a custom home, shop, barn, or animals, this property gives you the space and flexibility you have been searching for. Whether you are ready to build now or plan for the future, this rare piece of East Texas land is ready for your vision, partially wooded, quiet, and absolutely beautiful. | |
|
RESTRICTIONS Building Restrictions
Deed Restrictions
|
SPECIAL INFORMATION
Unknown
|
PROPERTY DESCRIPTION
Partially Wooded
|
FENCE
Partial Fence
|
Utilities
Water Available
Electric Available
|
Courtesy: • RAMSEY REALTY GROUP • 903-759-3333
Users may not reproduce or redistribute the data found on this site. The data is for viewing purposes only. Data is deemed reliable, but is not guaranteed accurate by the MLS or LAAR.
This content last refreshed on 12/05/2025 06:00 AM. Some properties which appear for sale on this web site may subsequently have sold or may no longer be available.